ACS Biomaterials:从纸基微流控芯片到纸基生物芯片
毛细驱动的纸基微流控芯片在化学分析中有广泛的应用,常用于污染物的检测等领域,由于其流体驱动依赖于纸的毛细效应,具有体积小,成本低等诸多优势。我们课题组在做生物3D打印的时候,一直在思考设计一款简易、小巧的细胞乃至器官灌流设备,以避免现有系统庞大、复杂的体积所造成的诸多不便。经过一年多的设计及实验,我们提出并实现了一种可并行,实现多个打印器官的生物灌流系统,首次实现了在纸基芯片上细胞的三维培养、肿瘤球的药物筛?。ㄈ橄侔┑囊┪锷秆∥?,演示了该平台在药物筛选上的潜力,很高兴这篇文章被ACS Biomaterials选为第三卷第四期的封面。这个平台很容易与生物3D打印技术集成,在细胞的立体培养、药物筛选、器官芯片等领域有着光明的应用前景。
整个系统设计时就考虑了方便其他研究人员的重现,我们开源了整个设计图纸及软硬件控制代码,除电控部分外所有的结构都可用桌面式3D打印机打印,很容易自己在实验室DIY。


纸基生物芯片系统解构及原理

基于该平台的细胞立体培养

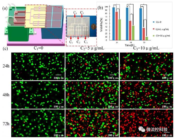
基于该平台的3D肿瘤药物筛选
文章信息:ACS Biomaterials封面:从纸基微流控芯片到纸基生物芯片(From Microfluidic Paper-Based AnalyticalDevices to Paper-Based Biofluidics with Integrated Continuous Perfusion)
(文章来源:科学网贺永博客 转载仅供参考学习及传递有用信息,版权归原作者所有,如侵犯权益,请联系删除)
标签:   纸基生物芯片
